Добави в бележник
Напиши мейл
Офертата е проблемна



|
Град: Пловдив област Област: Пловдив област Квартал: с.Царацово Вид имот: парцел Акция: продава Пусков срок: Готов |
Цена: 360 000 EUR за квадрат: 30 EUR Чиста квадратура: 12000 кв. м. Обща квадратура: 12000 кв. м. Етаж: не от общо: не Изложение: всички |
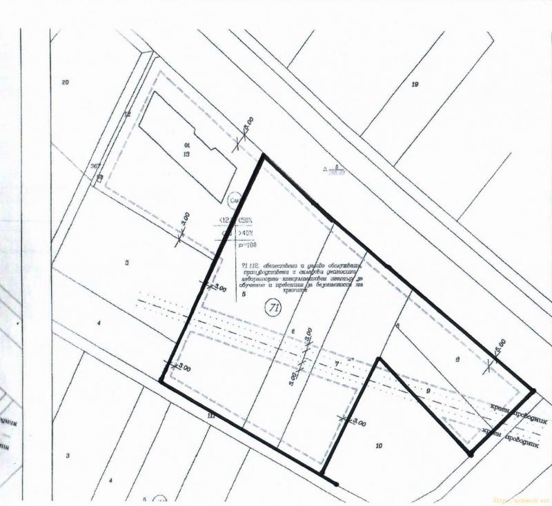
Продава се УПИ с площ от 12 дка, намира се в село Царацово, местност Юртови, община Марица, област Пловдив, на пътя Пловдив - Царацово, в близост до Автомагистрала Тракия. Усторйствени показатели Смф/ Пзастр.<50%; Кинт<1,0; Позел>40%.
Цена 30 Евро/ кв.м.
За контакт:
Тел: 032/ 952030; 032/ 952080
E-mail: evroinvest@gmail.com
Препоръчваме при контакт да уточните, че сте видяли тази информация в Портал за недвижими имоти netimoti.net с цел актуализирането на офертата!
По този начин, продавача или купувача на имота, ще може да редактира данните и да ги актуализира ако има промяна.
Ново търсене за:
продава - Пловдив област - с.Царацово - парцел »
или ново търсене за: продава - Пловдив област - с.Царацово »
или ново търсене за: продава - Пловдив област - парцел »
или корекция на критериите за търсене »
Компютри, монитори, лаптопи:
Тонер касети и ремонт на принтери
Място за Вашата реклама в Портал за недвижими имоти NETIMOTI.NET
Администрация и поддръжка на сайта:
София Компютърс ЕООД : компютри, монитори, лаптопи, телефони, таблети, принтери и скенери: поправка на компютри, ремонт на компютри, ремонт и поправка на лаптопи, компютърни услуги и сервиз за компютри
Изработка на сайта, Web Design и оптимизация: DGP; 2008y. Remake: 2013y.
Този сайт използва „бисквитки“ (cookies). Разглеждайки съдържанието на сайта, Вие се съгласявате с нашите условия за ползване и използването на „бисквитки“.
Съгласен съм