Добави в бележник
Напиши мейл
Офертата е проблемна



















|
Град: Варна област Област: Варна област Квартал: с.Тополи Вид имот: парцел Акция: продава Пусков срок: Готов |
Цена: договаряне за квадрат: договаряне Чиста квадратура: 8550 кв. м. Обща квадратура: 8550 кв. м. Етаж: не от общо: не Изложение: всички |
Продавам парцел с площ 8550 кв.м. с лице на ул. Овчага в жилищна зона.
Имотът е в землището на село Тополи срещу Геоложка база за развитие и внедряване с устройствена категория съгласно ОУП Варна - Жилищна устройствена зона с преобладаващо ниско застрояване (Жм) с показатели за устройство и застрояване: П застр. (плътност на застрояване) - 40%; К инт. (интензивност на застрояване) - 1,20; П озел. (минимална озеленена площ) - 40%; H max (кота корниз) - 10 м. За застрояване предимно на сгради за постоянно и временно обитаване. Допуска се изграждане на административни и делови сгради, хотели, научни и учебни заведения, обекти на социалната инфраструктура, културата, търговията, услугите, подземни и етажни паркинги и гаражи, търговско-складови и безвредни производства, обекти на инженерната инфраструктура и др. Парцелът (очертан в жълт цвят на сателитните снимки) е с 57 м. лице на изток на ул. „Овчага” в с. Тополи; дължини 150 м. на север, 160 м. на юг и широчина на запад 58 м. Комуникации: ток, вода, канал - на границата на парцела.
Предлагам за продажба лични недвижими имоти с до 50% временни отсъпки от цените в производствени, логистични, вилни и жилищни зони на главни пътища, УПИ, на магистралата до логистичен център летище Варна, пристанището, пред гробищата, крайезерния път, домостроителния комбинат, в Тополи, Аксаково и др. Подробно описание, местоположение, параметри и цени може да разгледате на:
https://oferti.bazar.bg/
Цените с временни отстъпки са окончателни и важат до края на 2017 г. (възможно е според конюктурата на пазара да бъдат коригирани възходящо). От началото на 2018 г. се прилага стандартната пазарна цена.
тел: 0887266955
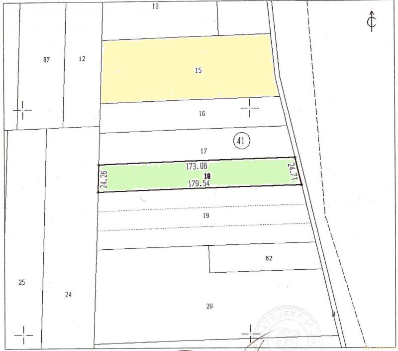
В същата местност на 60 м. южно продаваме ВТОРИ парцел с площ 4269 кв.м. в жилищно-производствена зона в с. Тополи с лице на ул. Овчага.
Имотът е в землището на село Тополи с устройствена категория съгласно ОУП Варна - Жилищна устройствена зона с преобладаващо ниско застрояване (Жм). Парцелът (очертан в син цвят на сателитните снимки) е номер 041018 с ЕКАТТЕ 72709 и се намира на срещу жилищните постройки на ул. „Овчага” срещу номера 14 и 16 на 52 метра южно от Геоложка база за развитие и внедряване. Парцелът е с 25 м. лице на изток на ул. „Овчага” в с. Тополи; дължини 173 м. на север, 180 м. на юг и широчина на запад 24 м. Комуникации: ток, вода, канал - на границата на парцела.
Поради най - ниските цени на предлагане на пазара в местността, стратегическото положение и переспективите за развитие в района, предлаганите два имота представляват добра инвестиция. В района може да разгледате и други обозначени наши имоти.
Препоръчваме при контакт да уточните, че сте видяли тази информация в Портал за недвижими имоти netimoti.net с цел актуализирането на офертата!
По този начин, продавача или купувача на имота, ще може да редактира данните и да ги актуализира ако има промяна.
Ново търсене за:
продава - Варна област - с.Тополи - парцел »
или ново търсене за: продава - Варна област - с.Тополи »
или ново търсене за: продава - Варна област - парцел »
или корекция на критериите за търсене »
Компютри, монитори, лаптопи:
Тонер касети и ремонт на принтери
Място за Вашата реклама в Портал за недвижими имоти NETIMOTI.NET
Администрация и поддръжка на сайта:
София Компютърс ЕООД : компютри, монитори, лаптопи, телефони, таблети, принтери и скенери: поправка на компютри, ремонт на компютри, ремонт и поправка на лаптопи, компютърни услуги и сервиз за компютри
Изработка на сайта, Web Design и оптимизация: DGP; 2008y. Remake: 2013y.
Този сайт използва „бисквитки“ (cookies). Разглеждайки съдържанието на сайта, Вие се съгласявате с нашите условия за ползване и използването на „бисквитки“.
Съгласен съм